Nova Scotia Archives

Nova Scotia Births, Marriages, and Deaths

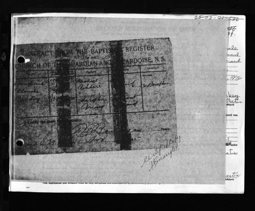
Alexanderina Blanche Rehberg birth L'Ardoise, Richmond County on September 19, 1905

Birth Registration: Year: 1905 number: 99200539

Click to view and save (right-click) each image above for free or contact us to Buy certified paper copies.     |     Send a correction

Click to view and save (right-click) each image above for free or contact us to Buy certified paper copies.     |     Send a correction

previous start a new search

       

Nova Scotia Archives — https://archives.novascotia.ca/vital-statistics/birth/?ID=198534

Crown copyright © 2026, Province of Nova Scotia.